Serangga Peregrinus maidis, yang juga dikenal sebagai wereng coklat atau wereng padi, merupakan salah satu serangga penting yang sering ditemui di lingkungan pertanian di Indonesia. Serangga ini memiliki peran ganda dalam ekosistem, baik sebagai hama tanaman maupun sebagai bagian dari jaringan makanan alami. Pemahaman yang mendalam tentang ciri fisik, habitat, siklus hidup, serta dampaknya terhadap tanaman dan ekonomi sangat penting bagi petani dan peneliti untuk mengendalikan populasi dan meminimalkan kerugian. Artikel ini akan membahas secara lengkap berbagai aspek terkait Serangga Peregrinus maidis, mulai dari identifikasi hingga strategi pengendalian terbaru yang sedang dikembangkan.
Pengantar tentang Serangga Peregrinus maidis dan perannya dalam ekosistem
Peregrinus maidis adalah serangga kecil yang termasuk dalam keluarga Cicadellidae, yang dikenal sebagai wereng. Di ekosistem pertanian, serangga ini berperan sebagai vektor utama penyebaran penyakit tanaman seperti mosaik dan bercak kuning pada tanaman padi. Selain sebagai penyebar penyakit, Peregrinus maidis juga menjadi bagian dari rantai makanan, di mana predator alami seperti laba-laba dan serangga lain memanfaatkannya sebagai sumber makanan. Keberadaannya mempengaruhi keseimbangan ekosistem pertanian, dan pengendalian yang tepat menjadi penting agar tidak mengganggu keberlanjutan lingkungan. Dalam konteks pertanian di Indonesia, keberadaan serangga ini sering kali diasosiasikan dengan kerugian akibat penurunan hasil panen dan kualitas tanaman yang menurun.
Serangga ini juga memiliki peran ekologis sebagai pengurai bahan organik dan sebagai bagian dari biodiversitas serangga di daerah pertanian. Keberadaannya yang melimpah dapat menunjukkan kondisi ekosistem yang sehat, tetapi apabila populasi berkembang pesat, bisa berakibat buruk terhadap tanaman dan hasil panen. Oleh karena itu, pengelolaan yang berimbang diperlukan agar keberadaan Peregrinus maidis tidak menimbulkan kerugian besar bagi petani dan ekosistem secara umum. Pemahaman tentang peran ekologis dan dampaknya sangat penting untuk pengembangan strategi pengendalian yang berkelanjutan.
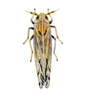
Ciri-ciri fisik Serangga Peregrinus maidis secara umum dan identifikasi
Secara fisik, Peregrinus maidis memiliki ukuran kecil, biasanya berkisar antara 3 hingga 4 milimeter. Tubuhnya berwarna kuning coklat dengan pola garis-garis halus di bagian punggung dan sisi tubuh, yang memudahkan identifikasi di lapangan. Kepala serangga ini relatif kecil dengan mata majemuk berwarna gelap, dan antena yang panjang serta tipis yang membantu mereka dalam merasakan lingkungan sekitarnya. Sayapnya berstruktur tipis dan transparan, dengan pola vena yang khas, yang memungkinkan mereka untuk terbang dan berpindah dari satu tanaman ke tanaman lainnya.
Ciri fisik lainnya yang penting untuk identifikasi adalah bentuk tubuh yang ramping dan bagian abdomen yang sedikit membesar saat dewasa. Pada tahap larva, Peregrinus maidis tampak lebih kecil dan berwarna lebih cerah, biasanya kuning muda atau hijau kekuningan. Identifikasi yang akurat sangat penting untuk membedakan serangga ini dari serangga lain yang mirip, seperti wereng hijau atau wereng coklat lainnya. Pengamatan langsung di lapangan, didukung dengan penggunaan perangkap feromon, dapat membantu petani dan peneliti dalam mengenali keberadaan Peregrinus maidis secara tepat dan cepat.
Habitat alami dan distribusi geografis Serangga Peregrinus maidis di Indonesia
Peregrinus maidis umumnya ditemukan di habitat pertanian, terutama di daerah yang memiliki tanaman padi sebagai tanaman utama. Mereka menyukai lingkungan yang lembab dan memiliki banyak tanaman inang yang tersedia. Di Indonesia, serangga ini tersebar luas mulai dari dataran rendah hingga ke dataran menengah, terutama di daerah yang memiliki iklim tropis yang hangat dan lembap. Kehadiran mereka paling banyak ditemukan di daerah Jawa, Sumatera, Kalimantan, dan Sulawesi, yang merupakan pusat produksi padi nasional.
Distribusi geografisnya dipengaruhi oleh pola budidaya tanaman padi dan praktik pertanian setempat. Di daerah dengan intensitas pertanian yang tinggi dan penggunaan varietas tanaman tertentu, populasi Peregrinus maidis cenderung meningkat. Habitat alami mereka sangat tergantung pada keberadaan tanaman inang utama, yaitu padi dan beberapa tanaman rumput lainnya. Mereka biasanya tinggal di bagian bawah tanaman, di daun dan batang, di mana mereka mencari tempat yang aman untuk menyembunyikan diri dari predator dan kondisi lingkungan yang ekstrem. Pengawasan distribusi serangga ini penting untuk mengantisipasi penyebaran penyakit dan kerusakan tanaman secara luas.
Siklus hidup dan tahap perkembangan Serangga Peregrinus maidis secara lengkap
Siklus hidup Peregrinus maidis terdiri dari beberapa tahap yang berlangsung dalam waktu tertentu tergantung kondisi lingkungan. Dimulai dari telur yang berwarna kekuningan dan menempel di bagian bawah daun tanaman inang. Telur ini menetas menjadi nimfa yang berukuran lebih kecil dan berwarna cerah, biasanya hijau atau kuning. Nimfa mengalami beberapa tahap instar, di mana mereka bertambah besar dan mengalami perubahan warna serta bentuk tubuh.
Setelah melewati beberapa tahap nimfa, serangga memasuki tahap dewasa. Dewasa memiliki sayap yang lengkap dan mampu terbang, yang memudahkan mereka berpindah dari satu tanaman ke tanaman lainnya. Siklus hidup dari telur hingga dewasa biasanya berlangsung selama 2-3 minggu, tergantung suhu dan kelembapan lingkungan. Pada kondisi optimal, populasi Peregrinus maidis dapat berkembang cepat, sehingga pengendalian yang tepat harus dilakukan sejak dini. Pemahaman lengkap tentang siklus hidup ini penting untuk menentukan waktu yang tepat dalam pengendalian dan pencegahan penyebaran penyakit.
Pola makan dan tanaman inang utama Serangga Peregrinus maidis
Peregrinus maidis merupakan serangga penghisap yang menghisap cairan dari tanaman inang utama, yaitu padi. Mereka menggunakan mulutnya yang tajam dan menusuk untuk menyedot jus tanaman, yang menyebabkan tanaman menjadi lemah dan berpenyakit. Selain padi, serangga ini juga dapat menghisap dari tanaman rumput lain yang memiliki kesamaan habitat. Pola makan ini menyebabkan terjadinya kerusakan langsung pada tanaman, seperti pertumbuhan yang terhambat, daun menguning, dan bercak-bercak kuning yang muncul akibat kerusakan jaringan tanaman.
Tanaman inang utama Peregrinus maidis adalah padi (Oryza sativa), yang menjadi sumber utama makanan bagi serangga ini. Mereka biasanya berkumpul dan menyerap cairan dari daun dan batang tanaman, terutama di bagian bawah daun dan di sekitar batang. Selain padi, beberapa tanaman rumput seperti alang-alang dan tanaman pengganggu lainnya dapat menjadi inang alternatif. Pola makan yang agresif dan cepat berkembang ini menyebabkan kerusakan besar jika populasi serangga ini tidak dikendalikan secara efektif, karena dapat menurunkan hasil panen secara signifikan dan meningkatkan risiko penyebaran penyakit tanaman.
Peran Serangga Peregrinus maidis dalam penyebaran penyakit tanaman
Salah satu peran utama Peregrinus maidis adalah sebagai vektor penyebar penyakit tanaman, terutama mosaik dan bercak kuning pada tanaman padi. Mereka membawa virus dari tanaman yang terinfeksi ke tanaman sehat saat mereka menghisap cairan dari tanaman. Virus yang dibawa ini dapat menyebar dengan cepat melalui populasi serangga yang berkembang biak di tanaman inang. Penyebaran virus ini menyebabkan gejala berupa bercak-bercak kuning, mosaik, dan pertumbuhan tanaman yang terhambat, yang akhirnya menurunkan hasil panen secara signifikan.
Penyebaran penyakit melalui Peregrinus maidis sangat efisien karena serangga ini mampu berpindah dari satu tanaman ke tanaman lainnya dengan mudah, terutama selama musim tanam yang panjang. Kecepatan penyebaran ini mempercepat kerusakan tanaman secara luas dan menyebabkan kerugian ekonomi yang besar bagi petani. Oleh karena itu, pengendalian populasi Peregrinus maidis sangat penting untuk mencegah penyebaran penyakit dan menjaga kesehatan tanaman padi. Upaya pencegahan dan pengendalian yang tepat dapat mengurangi risiko kerusakan besar akibat penyakit yang disebarkan oleh serangga ini.
Dampak economic dari infestasi Serangga Peregrinus maidis pada pertanian
Infestasi Peregrinus maidis dapat menyebabkan kerugian ekonomi yang besar bagi petani dan industri pertanian secara umum. Serangga ini merusak tanaman padi secara langsung melalui proses penghisapan cairan, yang menyebabkan tanaman menjadi lemah dan berpenyakit. Selain itu, sebagai vektor virus, mereka dapat menyebabkan penyakit mosaik dan bercak kuning yang menurunkan kualitas dan kuantitas hasil panen. Hasil panen yang menurun ini berdampak pada pendapatan petani, terutama di daerah-daerah yang bergantung penuh pada hasil pertanian padi.
Kerugian ekonomi tidak hanya terbatas pada penurunan hasil panen, tetapi juga meliputi biaya tambahan untuk pengendalian dan pengelolaan populasi serangga tersebut. Penggunaan pestisida secara berlebihan dapat meningkatkan biaya produksi dan berpotensi menimbulkan masalah lingkungan dan kesehatan. Ketergantungan terhadap pestisida juga dapat menyebabkan resistensi pada
